Bão Melissa đổ bộ vào Cuba, trở thành siêu bão cấp 3

Cập nhật: 4 giờ trước

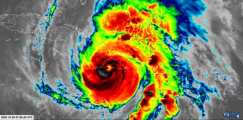
VOV.VN - Bão Melissa đã đổ bộ vào Cuba lúc 3h10 sáng 29/10 (theo giờ miền Đông Mỹ) gần khu vực Chivirico, thuộc tỉnh Santiago de Cuba, với sức gió duy trì tối đa 195km/h, trở thành một cơn bão cấp 3 “cực kỳ nguy hiểm”, theo Trung tâm Bão Quốc gia Mỹ (NHC).

Dự báo, tâm bão Melissa sẽ di chuyển trực tiếp qua khu vực đông Nam Cuba trong vài giờ tới, gây ra gió mạnh, mưa lớn và triều cường. Hiện bão Melissa đang di chuyển theo hướng Đông Bắc với vận tốc khoảng 16km/giờ.

Theo cơ quan khí tượng, nước lũ và sóng lớn là mối đe dọa nghiêm trọng nhất đối với người dân Cuba. Mực nước dâng do bão dọc bờ biển Đông Nam có thể đạt từ 2,5 đến 3,5 mét so với mức thủy triều bình thường, đi kèm với những con sóng lớn và nguy cơ ngập lụt nghiêm trọng.

Lượng mưa được dự báo lên tới 250–500mm, vùng núi có thể vượt 600mm, gây nguy cơ lũ quét và sạt lở đất nghiêm trọng. Mưa dự báo sẽ kéo dài ngay cả khi gió bão bắt đầu giảm.

Cơn bão rộng bằng bang Texas

Theo các nhà khí tượng, bão Melissa có quy mô khổng lồ, với “vòng gió” gần tương đương chiều rộng bang Texas, khoảng 1.240 km.

Vùng có gió bão (tốc độ trên 120km/h) trải rộng trong bán kính khoảng 50km quanh tâm bão, tương đương với diện tích khu đô thị Houston. Trong khi đó, vùng có gió mạnh cấp áp thấp nhiệt đới (khoảng 60-120km/h) kéo dài tới 320 km, tức là bằng khoảng cách từ Dallas tới Austin hoặc Houston tới San Antonio.

Điều này có nghĩa là ngay cả những khu vực cách xa tâm bão hàng trăm cây số cũng đang hứng chịu gió mạnh, mưa lớn và sóng dữ nguy hiểm.

Bahamas ra lệnh sơ tán khẩn cấp

Theo Cơ quan Quản lý Rủi ro Thiên tai Bahamas, sau khi rời Cuba, bão Melissa được dự báo sẽ hướng thẳng đến khu vực Trung và Đông Bahamas.

Chính quyền đã ban hành lệnh sơ tán bắt buộc tại 6 hòn đảo, trong đó có Acklins và Crooked Island, nhằm chuẩn bị ứng phó với nguy cơ ngập lụt nghiêm trọng và triều cường cao tới 2,5 mét. Toàn bộ khu vực Trung và Đông Bahamas hiện nằm trong vùng cảnh báo bão toàn diện.

Bộ trưởng Bahamas Leon Lundy kêu gọi người dân trong vùng ảnh hưởng của bão “ngay lập tức tìm nơi trú ẩn an toàn”.

Siêu bão Melissa mạnh nhất thế giới năm 2025 đổ bộ Jamaica

VOV.VN - Siêu bão Melissa mạnh cấp 5, với sức gió giật hơn 300 km/h đã đổ bộ vào Jamaica chiều 28/10 (giờ địa phương). Đây là cơn bão mạnh nhất đổ bộ Jamaica kể từ khi bắt đầu ghi nhận dữ liệu vào năm 1851. Siêu bão Melissa đang tiếp tục di chuyển về phía Cuba, dự kiến cũng sẽ ảnh hưởng đến Haiti và Bahamas.

 

Từ khóa: bão Melissa, siêu bão cấp 3,Bão Melissa,Bão Melissa đổ bộ Cuba, siêu bão Melissa,siêu bão mạnh nhất thế giới, siêu bão năm 2025,các cơn bão năm 2025,Cơn bão rộng bằng bang Texas,siêu bão melissa đổ bộ Bahamas, siêu bão đổ bộ Cuba,bão đổ bộ, lũ quét, triều cường, cảnh báo bão,biến đổi khí hậu,siêu bão Melissa 2025,thời tiết cực đoan Caribe

Thể loại: Thế giới

Tác giả: giang bùi/vov.vn (biên dịch)

Nguồn tin: VOVVN

Bình luận






Đăng nhập trước khi gửi bình luận Đăng nhập