Bão Melissa càn quét Caribe, ít nhất 30 người thiệt mạng

Cập nhật: 5 giờ trước

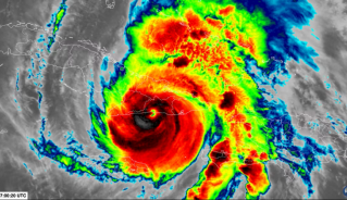
VOV.VN - Bão Melissa gây thiệt hại nghiêm trọng khi quét qua Caribe, khiến ít nhất 30 người thiệt mạng tại Haiti, Jamaica, Cuba và Bahamas, làm hư hại nhiều cơ sở hạ tầng và gây mất điện diện rộng.

Bão Melissa đổ bộ Bahamas, gây mưa to gió lớn

Theo Trung tâm Bão Quốc gia Mỹ (NHC), ngày 29/10 (giờ địa phương), bão Melissa quét qua Bahamas với sức gió tương đương cấp 1 trên thang bão Saffir - Simpson, mang theo mưa lớn, gió mạnh và triều cường nguy hiểm. Dự báo, thời tiết khắc nghiệt sẽ còn kéo dài.

Trước đó, bão Melissa đổ bộ Cuba sáng cùng ngày, gây “thiệt hại nghiêm trọng” cho nhiều khu vực, trong đó khoảng 140.000 người bị cô lập do nước sông dâng cao.

Thiệt hại nặng nề tại Jamaica và Haiti

Một ngày trước khi vào Cuba, bão Melissa tàn phá Jamaica, khiến phần lớn đảo quốc này mất điện trên diện rộng, hệ thống hạ tầng công cộng bị hư hại nghiêm trọng. Giới chức địa phương cho biết mức độ tàn phá vẫn chưa thể thống kê đầy đủ do nhiều khu vực vẫn bị cô lập hoặc chưa thể tiếp cận.

Thủ tướng Jamaica Andrew Holness ngày 29/10 đã thị sát thiệt hại tại hạt St. Elizabeth – một trong những khu vực chịu ảnh hưởng nặng nhất. Hình ảnh từ trực thăng cho thấy nhà cửa bị tốc mái, đổ nát và mảnh vỡ rải khắp các tuyến phố.

Thị trưởng thành phố Black River, ông Richard Solomon, cho biết: “Tình hình ở đây thật khủng khiếp. Từ ‘thảm họa’ cũng chưa đủ để mô tả những gì chúng tôi đang chứng kiến”.

Phóng viên CNN tại hiện trường cho biết, lực lượng cứu hộ và quân đội Jamaica phải đẩy hàng chục xe cứu thương vượt qua đống đổ nát và bùn lầy ở thị trấn Santa Cruz khi di chuyển đến vùng ven biển phía Tây. Nhiều xe bị kẹt trong bùn, đường phố trung tâm phủ kín bùn đất, gạch đá và vật liệu hư hỏng.

Công ty điện lực Jamaica (JPS) đang đánh giá mức độ thiệt hại đối với hệ thống lưới điện quốc gia, trong khi chính phủ cho biết khoảng 77% dân số hiện chưa có điện.

Giới chức Jamaica xác nhận ít nhất 7 người thiệt mạng, gồm 4 người được tìm thấy tại hạt St. Elizabeth và 3 người khác chết trong quá trình chuẩn bị ứng phó với bão.

Tại Haiti, ít nhất 23 người đã thiệt mạng, trong đó có 10 trẻ em, khi nước lũ dâng cao gây sạt lở đê, theo Cơ quan Bảo vệ Dân sự Haiti. Ngoài ra, Cộng hòa Dominica cũng ghi nhận 1 trường hợp tử vong.

Bộ Ngoại giao Mỹ thông báo đã triển khai một nhóm ứng phó thảm họa khu vực, cùng các nguồn lực cứu trợ khác tới các nước Caribe bị ảnh hưởng. Một lực lượng đặc nhiệm cũng đã được thành lập để điều phối công tác hỗ trợ của Mỹ.

Nhiều tổ chức nhân đạo quốc tế và các chính phủ trong khu vực cũng đang khẩn trương gửi viện trợ tới Jamaica, Haiti và Cuba. Ba sân bay quốc tế của Jamaica dự kiến sẽ mở cửa trở lại trong ngày hôm nay nhằm phục vụ các chuyến bay cứu trợ và thương mại.

Bão Melissa đổ bộ vào Cuba, trở thành siêu bão cấp 3

VOV.VN - Bão Melissa đã đổ bộ vào Cuba lúc 3h10 sáng 29/10 (theo giờ miền Đông Mỹ) gần khu vực Chivirico, thuộc tỉnh Santiago de Cuba, với sức gió duy trì tối đa 195km/h, trở thành một cơn bão cấp 3 “cực kỳ nguy hiểm”, theo Trung tâm Bão Quốc gia Mỹ (NHC).

Từ khóa: bão Melissa, bão Melissa, bão Caribe, bão Bahamas, bão Jamaica, thiệt hại do bão, bão Cuba, thiên tai Caribe, bão Đại Tây Dương, mưa lớn Caribe, thời tiết cực đoan, bão Melissa càn quét Caribe, thiệt hại do bão Melissa, dự báo bão, tin mới nhất về bão Melissa

Thể loại: Thế giới

Tác giả: hoàng phạm/vov.vn (biên dịch)

Nguồn tin: VOVVN

Bình luận






Đăng nhập trước khi gửi bình luận Đăng nhập